Topographie & Plans de terrain Villefranche-sur-Mer Alpes-Maritimes (06)

Villa d'exception
sur les hauteurs de
Villefranche-sur-Mer

Station Leica TS16 Plan topographique détaillé Extension de terrasse Vue Saint-Jean-Cap-Ferrat
Description du projet
01

Villa d'exception sur les hauteurs de Villefranche-sur-Mer, avec vue directe sur Saint-Jean-Cap-Ferrat.

  • Projet d'extension de terrasse existante
  • Mission de relevé topographique partiel
  • Intervention coordonnée avec l'ingénieur en charge du projet
02

Configuration multi-niveaux avec une particularité altimétrique importante :

  • R+1 — entrée principale et aire de stationnement
  • R+0 — aménagements extérieurs en contrebas
  • Terrasse cible de l'extension, accessible depuis le niveau R+0
03

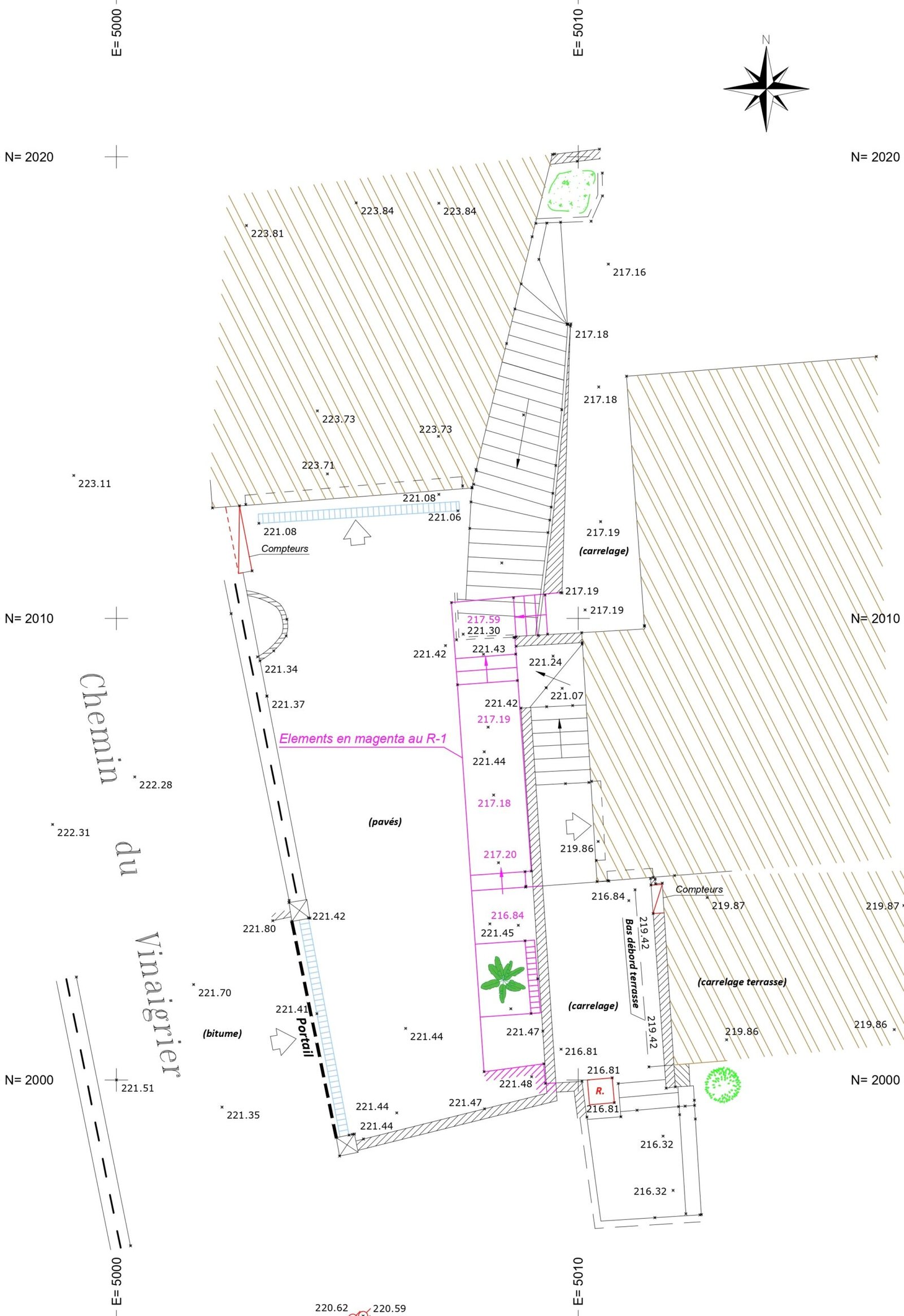
Relevé réalisé avec la station totale robotisée Leica TS16 — précision angulaire de 2 secondes.

  • Mesure des deux niveaux principaux du site (R+0 et R+1)
  • Relevé des altitudes précises des structures et du terrain naturel
  • Levé de la terrasse concernée par l'extension
  • Relevé des éléments topographiques en contrebas
04

Plan topographique détaillé — tous niveaux sur un même document :

  • Parking et entrée au niveau R+1
  • Aménagements extérieurs au niveau R+0
  • Dessin de la terrasse avec les cotes nécessaires à l'étude d'extension
  • Éléments en contrebas figurés en magenta — distinction visuelle immédiate
Le choix graphique du magenta pour les niveaux inférieurs permet une lecture intuitive des relations d'aplomb entre les zones. Un document lisible aussi bien par l'ingénieur structure que par le client.
FAQ

QUESTIONS FRÉQUENTES

TOPOTECH GEOMATICS intervient pour les relevés topographiques, les plans de terrain, les relevés 3D, les plans architecturaux, les calculs de déblais/remblais, l’implantation d’ouvrages ainsi que les contrôles altimétriques et les contrôles après construction.

Nos prestations s’adressent aussi bien aux professionnels qu’aux particuliers : architectes, maîtres d’œuvre, entreprises, bureaux d’études, propriétaires, porteurs de projets de construction ou de rénovation.

TOPOTECH GEOMATICS intervient principalement dans les Alpes-Maritimes (06) et le Var (83).

Oui. Nous effectuons des relevés par scan 3D afin de capturer précisément l’existant d’un bâtiment ou d’un ouvrage et de produire une base fiable pour les études techniques et l’établissement de plans.

Contactez-nous par téléphone au 07 75 75 86 48 ou par email à geomaticstopographie@gmail.com. Nous vous garantissons une réponse et un devis sous 24 à 48 heures.

Précisez la localisation du projet, le type de prestation souhaitée, la nature du site ou du bâtiment, ainsi que les plans ou documents déjà disponibles.

Vous avez un projet ?

CONTACTEZ-NOUS DÈS AUJOURD'HUI

Téléphone

07.75.75.86.48

Email

geomaticstopographie@gmail.com

Adresse

24 Avenue Sidi Brahim, 06130 Grasse

Horaires

Lundi - Vendredi : 8h / 18h
Progress Line — Topotech Geomatics

TOPOTECH GEOMATICS — 2026 All Right Reserved